Service Guide

Get Ants Extermination Service

Local contractors offer ant extermination services to eliminate infestations, protect properties, and handle residential or commercial pest control projects effectively.

Ants can quickly become a persistent nuisance for property owners, especially when they invade kitchens, gardens, or storage areas. If you're noticing increased ant activity on your property, exploring professional extermination services might be a practical step to consider. Local contractors who specialize in ant control can provide tailored solutions to help manage and eliminate these unwelcome visitors effectively. Keep reading to learn how connecting with experienced service providers can support your efforts in maintaining a pest-free environment.

When planning pest management projects, comparing options among local service providers ensures you find the right fit for your needs. Many property owners turn to professional extermination services to address ant problems efficiently and prevent future infestations. By exploring the available local contractors, you can gain insights into different approaches and select a solution that aligns with your property's specific requirements. Continue reading to discover how to connect with trusted experts in your area.

Get Ants Extermination Service Quotes

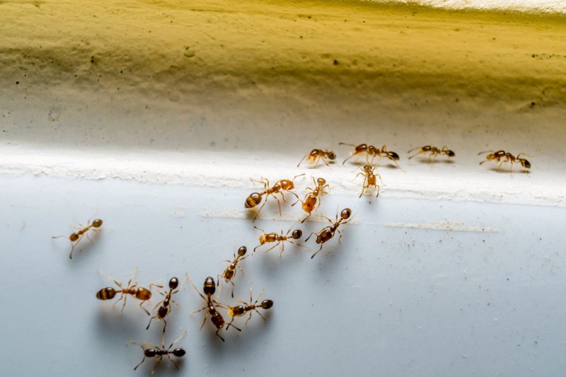
  • Ants Extermination - needed when ants have invaded a home or business and are difficult to eliminate.
  • Ants Prevention - required to stop future ant infestations after a previous problem has been resolved.
  • Ants Inspection - necessary when there are signs of ant activity or unexplained ant sightings.
  • Ants Treatment - essential for addressing active ant colonies and reducing their numbers effectively.
  • Ants Control - sought after when ongoing efforts are needed to manage and prevent ant populations.
Ants Extermination Service
Ants Extermination Service
Ants Extermination Service

Ants extermination services involve identifying and eliminating ant infestations within residential or commercial properties. Professional contractors typically conduct thorough inspections to locate ant colonies, including hidden nests in walls, basements, or outdoor areas. They use targeted treatments such as baiting systems, dusts, or sprays to effectively eradicate ants and prevent future invasions. These services aim to address the root of the problem, ensuring that the infestation is managed comprehensively and safely.

Ant problems often arise when ants find accessible food sources, water, or shelter inside a property. Common signs of an infestation include visible trails of ants, scattered carcasses, or the presence of nests near entry points like doors, windows, or foundation cracks. Ant extermination services help solve these issues by removing the pests and sealing entry points to reduce the likelihood of re-infestation. This can be particularly important for maintaining a clean, hygienic environment and avoiding damage caused by certain ant species, such as carpenter ants that can compromise wood structures.

The types of properties that typically utilize ant extermination services include single-family homes, apartment complexes, and small businesses. Homes with gardens or outdoor spaces are especially vulnerable, as ants often establish colonies near landscaping or mulch. Commercial properties, such as restaurants or food storage facilities, frequently seek ant control to maintain health standards and comply with sanitation regulations. No matter the property size, professional exterminators tailor their approach to the specific needs of each location to ensure effective results.

Homeowners usually seek ant extermination services when they notice persistent ant activity or suspect an infestation that could worsen over time. These services are useful for addressing sudden invasions or ongoing problems that interfere with daily life. Whether ants are found indoors or around the exterior of a property, local service providers can help assess the situation and implement targeted solutions. Contacting experienced contractors ensures that ant issues are handled efficiently, helping to restore comfort and prevent future pest problems.

The overview below groups typical Ants Extermination Service projects into broad ranges so you can see how smaller, mid-sized, and larger jobs often compare in your area.

In many markets, a large share of routine jobs stays in the lower and middle ranges, while only a smaller percentage of projects moves into the highest bands when the work is more complex or site conditions are harder than average.

Smaller Repairs - Basic ant extermination for minor infestations typically costs between $250 and $600. Many routine jobs fall within this range, covering treatment of small areas or single properties.

Moderate Infestations - Larger or more persistent ant problems usually range from $600 to $1,200. These projects often involve multiple treatments or extended service plans handled by local contractors.

Full Property Treatments - Complete property exterminations can cost between $1,200 and $3,000, especially for large homes or commercial spaces. Fewer projects reach into this higher tier, but they are necessary for extensive infestations.

Complex or Ongoing Projects - The most comprehensive ant control solutions, including ongoing monitoring or multiple visits, can exceed $3,000 and reach $5,000+ in some cases. These are less common but may be needed for severe or recurring infestations.

Actual totals will depend on details like access to the work area, the scope of the project, and the materials selected, so use these as general starting points rather than exact figures.

Get a Quote

Pest Control for Cockroaches - involves identifying entry points and applying targeted treatments, similar to ant extermination techniques to eliminate pests effectively.

Termite Treatment Projects - require planning and implementing chemical or baiting solutions to prevent or eradicate termite colonies, sharing skills with ant control methods.

Rodent Exclusion Services - focus on sealing entry points and setting traps, which parallels the planning and execution skills used in ant barrier installations.

Spider Removal Services - involve inspecting for webs and applying treatments in hard-to-reach areas, similar to ant nest location and treatment strategies.

Bed Bug Eradication Projects - require detailed inspection and targeted treatment plans, employing techniques akin to those used in ant extermination efforts.

Wildlife Removal Services - involve humane removal and exclusion of pests like raccoons or squirrels, sharing planning and containment skills relevant to pest control.

Ants Extermination Service

When comparing service providers for ant extermination, it’s important to consider their experience with similar projects. Homeowners should look for local contractors who have a proven track record in handling ant control for properties similar in size and structure. An experienced professional will understand the common challenges associated with ant infestations and be familiar with effective treatment methods, which can contribute to more reliable results. Gathering information about a provider’s background in ant extermination can help ensure that the chosen service provider has the practical knowledge needed to address specific pest issues efficiently.

Clear, written expectations are essential when evaluating local pros for ant extermination services. Homeowners should seek detailed descriptions of what the service entails, including the scope of work, types of treatments used, and any preparations needed before the service. Having a clear understanding of what to expect helps prevent misunderstandings and ensures that both parties are aligned on the process. Requesting this information upfront allows homeowners to compare options more effectively and select a provider who communicates transparently and provides comprehensive details about their approach.

Reputable references and good communication are key factors in selecting a dependable local contractor for ant control. Homeowners should ask for references or reviews from previous clients who had similar work done, as these can offer insights into the contractor’s reliability and quality of service. Additionally, a service provider who maintains open and prompt communication can make the process smoother and more transparent. While the site introduces homeowners to local options, it’s important to remember that the actual work is performed by independent service providers who should be chosen based on their experience, clarity in communication, and reputation for quality.

Get an Ants Extermination Service Quote

Property owners use Ants Extermination Service services for practical projects around their homes and businesses. This guide focuses on everyday jobs and straightforward project options.

Ants Extermination Service
Ants Extermination Service

Ants can become a common nuisance for property owners dealing with everyday issues such as food contamination, unsightly trails, or unexpected infestations in kitchens, basements, and outdoor spaces. When ants invade a home or business, it often signals the need for professional intervention to effectively eliminate the problem and prevent future outbreaks. Local contractors specializing in ant extermination are equipped to assess the situation and implement targeted solutions to keep these pests at bay.

Property owners might seek out ant extermination services after noticing persistent trails or ant colonies in their yards, gardens, or indoor areas. Whether dealing with a small presence or a more widespread invasion, local service providers can help address the situation efficiently. Connecting with experienced contractors ensures that pest issues are managed properly, helping to restore comfort and maintain the property's condition.

Get an Ants Extermination Service Quote

What signs indicate an ant infestation? Common signs include visible ant trails, scattered crumbs, and small piles of dirt or debris near entry points and food sources.

What types of ants can local contractors eliminate? They can handle a variety of ants such as sugar ants, carpenter ants, and fire ants, among others.

How do extermination services typically address ant infestations? Service providers usually apply targeted treatments to eliminate existing colonies and may recommend preventive measures.

Are ant extermination methods safe for pets and children? Many local contractors use treatments that are considered safe when properly applied; it's best to discuss any concerns with the service provider.

What steps can homeowners take to prevent future ant problems? Contractors often advise sealing entry points, removing food sources, and maintaining cleanliness to reduce the likelihood of re-infestation.

Ants Prevention Tips - Property owners can learn practical strategies to prevent ant infestations through expert advice from local contractors.

Infestation Inspection - Homeowners can schedule inspections to identify early signs of ant activity before a full-scale invasion occurs.

Barrier Treatments - Property managers might consider barrier treatments to create a protective zone around buildings and landscaping.

Ongoing Maintenance - Residents can implement routine upkeep suggestions to keep ants from returning and maintaining a pest-free environment.

Ants Extermination Service

If you are thinking about Ants Extermination Service for a property, this guide is meant to help you understand the work, the typical project types, and how different options might fit your plans.

When you are ready, you can use the quote form on this page to share a few details about your project. From there, local pros can review the basics and respond with options that match what you have in mind.

Get a Quote

Ants Extermination Quotes